OPIS

Leptir je veličine oko 6mm. Boja krila je tamnosmeđa skoro crna sa neupadljivim crnim šarama i žutim pegama.

Odrasla gusenica je duga do 12- 14 mm. Boja zavisi od generacije tj zimska je sivo smedja a letnja je bledo žuta sa ruzičastim ledjima.

Lutka je smeđe boje.

Jaje je ovalno spljošteno, diskoidalnog oblika, prečnika do 1 mm. Pročvršćeno je lepljivom materijom za vrhove lastara ili plodova.

ŠTETNOST

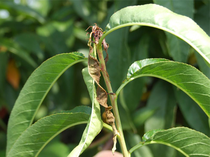
Štete od breskvinog smotavca su velike. Gusenice oštećuju lastare i plodove. Napadnuti mladi lastari se suse sto iznuruje biljku. Napadnuti plodovi bivaju (crvljivi) zagadjeni izmetom larve te gube upotrebnu vrednost.

CIKLUS RAZVOJA

Prezimljava odrasla gusenica u pukotinama grana i u površinskom sloju zemljišta.

Leptiri se javljaju krajem aprila i početkom maja. Aktivni su predveče.

Polaganje jaja se proteže na skoro celu vegetaciju.

Gusenice prve generacije ubušuju se u vrhove mladih lastara.

Gusenice sledećih generacija uglavnom se ubušuju u plodove.

U našoj zemlji, štetočina ima 4 nepotpune generacije.

SUZBIJANJE

Suzbijanje breskvinog smotavca je teško. Njegov razvoj je uglavnom u biljci, a veći broj generacija otežava određivanje optimalnog tretmina za suzbijanje.

MERE BORBE

PREVENTIVNE MERE

Praćenja razvoja štetočine
Praćenja leta leptira sa feromonskim klopkama.
Određivanje leta leptira praćenjem zbirnih temperatura
Praćenja brojnosti gusenica u lovnim pojasevima
Pracenjem intezitet napada jabukinog smotavca se utvrđuje pregledom plodova.

HEMIJSKE MERE

Za suzbijanjeove štetočine postoji veoma širok spektar insekticida na bazi: piriproksifen (Nexiram, Prince, Harpun…), hlorantranilipol (Coragen), hlorantranilipol+abamektin ( Voliam targo), hlorantranilipol+lambda-cihalotrin (Ampligo), emamektin benzoate (Mayor, Atletic, Ema, Triton, Affirm...…), indosikarb (Avatar***, Avaunt****…), acetamiprida (Monofos, Tonus, Afinex, Volley...), imidakloprida (Confidor***, Warrant***, Lobo***, Coup***, Mido***...), Piretroida - cipermetrin ( Notikor 200EC, Cipkord 20 EC, Cythrin 250 EC, Tajfun EC...), Lambda-cihalotrin (25gr/lit - Grom, Megathrin 2.5 EC, Zupa lambda, 50gr/lit - Karate zeon, Savate SC-5, Kaiso..), deltametrin (12.5 gr/lit - Plures, 25gr/lit - Futocis 2,5 EC, Polux, Scatto, Decaguard 2.5 EC, Zupa deci100gr/lit - Decis expert), gama-cihalotrin (Vantex 60 SC), Esfenvalerat (Sumi alfa5 EW), hlorpirifos+cipermetrin (Corell D***, Nurelle D***, Despot***, Konzul***...) i slično

 NAPOMENA

Sa preparatima koju u sebi sadrže Hlorpirifos etil, dimetoat ili imidakloprid treba biti oprezan. Nepravilna primena ove aktivne materije može imati svoje ostatke na pludu u berbi koji prevazilaze njihove dozvoljene količine. Ovo je veoma bitno zbog zakonskih regulativa prilikom izvoza.

 (***) - preparati koji su izbačeni sa liste za upoterbu te se teško mogu naći.

napisao: kapetan

Vojislav Savić , dipl. ing. za zaštitu bilja.